The Reef

As the largest living structure on the planet, the Great Barrier Reef is incredibly rich and diverse.  The Great Barrier Reef Marine Park stretches approximately 2300 km along the coast of Queensland in north-eastern Australia – this is about the same length as the west coast of the US from Vancouver to the Mexican border.

A shallow lagoon separates the coastline and the natural formation of 540 barriers consists of over 600 offshore islands that surround the reefs. It is a home to four hundred coral species of different colors: various shades of red, yellow, brown, purple, and even black. The Great Barrier Reef of Australia is a home to 1,500 species of ocean fish and 500 species of reef fish, including whale shark, the largest fish in the world. Waters around the reef are inhabited by several species of whales, dolphins and sea turtles, not to mention a great variety of shrimps, lobsters, and other small fauna. And finally, the reef provides shelter for more than 240 bird species. It is no wonder that this huge formation can be seen perfectly from the outer space.The spectacular vitality and beauty leaves a lasting impression an all who submerge themselves in her waters.

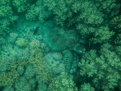
We went diving and snorkeling in 9 separate places on the reef.   The camera cannot do the coral justice, it was so colorful and varied in its make up.  It is jellyfish season here, the locals call them stingers.  The boat companies require you to wear “stinger suits” which is why we are dressed so funny.  The highlight was swimming with turtles.   The turtles are beginning to lay their eggs so there are many more than usual about.  Some just look at you and if you give them space, the swim can last 20 minutes before they dive and blend so perfectly with the dabbled water.

 

The Resort Towns

Australia has some pretty cool places to hang out while living the magic.

We stayed in Airlie Beach, took a side trip to Hamilton island (an upmarket resort with aqua toys) Port Douglas and Cairns in order to access this section of our trip.  I could live in any of these towns, though it was clear that tourism was important to the economy of each.  I loved the  friendly nature of the people, the vibrant main streets, the total sense of humor it is lovely when people don’t take themselves too seriously.

Hamilton Island is a bit pricey.  We stopped into Airlie Beach to book a sailing trip and take a few day trips — and found a last minute special.  For a mere $260 per night you can stay at this island, which includes the free ferry ride to the island.  Over the entire 1,500 mile stretch of the GBR, we have found perhaps 8 locations where you can stay overnight, so despite the price, this was our chance and we took it.  A gorgeous beach, a couple of pools, golf carts zipping around, it was all picture perfect.  But by far the best part was the hobie sailboats and other aqua toys.   We raced, we zipped, we stalled, we laughed, and we got each other scared as we whipped about in the small catamaran.

Lone Pine Koala sanctuary near Brisbane

It was supposed to be a short day driving, so there was room for a quick side trip. The quick side trip was supposed to be a quick 1-2 hour introduction to Koalas. We were traveling through the habitat area and shipmates recommended this stop. It became 3-4 hours and 600 pictures of Koalas, each picture cuter than the picture before! Koalas sleeping, eating, just looking around, and you think gotta take a picture, gotta take a picture, then you go by koala kindergarten where the baby to juvenile koalas were cavorting, and time suspended and another 50-60 pictures were taken. Finally after hours, we tore ourselves away and made our daily destination. But in response to all of that here are a few of our favorite snaps, so cute you want to bring them all home . . . . . . .we took a few moments away from the Koalas and saw Tasmanian Devils and some Kangaroos. Check out the Joey in one of the Kangaroos pouch.

Heading NORTH from Sydney (With a couple diversions . )

Sampling some Aussie wine in Hunter Valley, we reflect back to the wine tasting we have done in less than a year: Australia, South Africa, and California; and next month New Zealand.

Australia’s oldest and most well known wine region is famous for some of the original continuously operated vineyards in the country. It is located about a three hour drive north of Sydney and what seemed the perfect first stop after disembarking from the cruise. Country roads, perfect for new right side of the car, left side of the road drivers (you’re scaring me! We both said it to the other in the early moments of driving) — perfect for small towns with all the services, like SIM cards and car coolers, and kmart, — perfect for bicycle tracks already researched and highlighted,– perfect for wine tasting an important part of any drive up and down through Australia and finally, perfect for kangaroos who hop! hop! hop their way across the open spaces. It was way too much fun.

One of the many, many things we like about this place is their Main Street. It contains all the mom and pop stores, then Target or KMart, then the chemist or grocery store, a restaurant or coffee bar all on the Main Street of a town. No malls on the outskirts of town, it is all there, convenient, walkable friendly and most of all alive with people. Vibrant Main Street in every town we have come to. It has been great.

Further north we arrived in a small town called Hervey Bay. Close to this town is a World heritage Site: we had to go . . . . .

Fraser Island World heritage site.

World Heritage areas are places listed under the World Heritage Convention that have cultural or natural values of such importance that they are recognized as sites of heritage for all people of the world.

Over the past 2,000,000 years, ocean currents and waves swept sand north from the continental shelf of New South Wales. Sand accumulated and covered existing bedrock to form dunes parallel to the coast, leaving only peaks uncovered—today’s headlands. Strong onshore winds blow loose sand inland to form high parabolic—i.e. hairpin- shaped—dunes, which spread inland, engulfing areas in their path, forming a sequence of overlapping dunes

The island, the largest sand island in the world, includes over 250 km of sandy beaches with long uninterrupted sweeps of ocean beach, more than 40 km of strikingly colored sand cliffs, as well as spectacular dune blowouts, tall rainforests on sand, dune lakes and a mosaic of sand tracks that 4×4 vehicles can ply to take you to fascinating sights like the Maheno shipwreck that sits on the beach, fantastically rusted and beautiful.

Of course, the highlight of the day was all about an accompanying bus stuck in the sand and all the people on the sidelines (both the stuck bus and the rescue bus had to dislodge their people to reduce weight) photographing and advising and finally cheering as the busses and a line of stranded cars finally made it up the incline.

At the end of the day, heritage is magnificent, beauty is inspiring, but 75 people really come alive when they get to make a mess in a giant sandbox observing another guys folly. We are glad we are so normal.

The Trip Across the Pacific Pond, October 3 – 27, 2013

What a life affirming decision. Traveling 24 days on water, we decompressed from the west coast drive, winterize, pack, and run in order to prepare ourselves for the Australian east coast drive, summer, pack and run.  We ventured from west coast USA to Sydney, Australia on a 1,800 passenger Holland America Line.  See prior post for our stop overs.

Truthfully, we worried what it would be like with so many days at sea, but they were spent eating, (the biggest sport on any cruise liner) reading, working on projects, working on my tan, lots of new and interesting people to meet, each with a fascinating travel history.  We even experienced time travel: the ship passed through the International Date Line by simply forgetting a Monday.  We went to sleep on a Sunday and woke to a Tuesday!   Just like that.

We were met in port with bands or cultural dances, with hawkers and many local tourism groups selling their services.   We opted for tours once in a while, like the Atlantis submarine, which took people down to 130 feet for viewing coral, fishes and a shipwreck.  More often than not, we took our trusty bike Fridays off the boat and just went riding.  The goal was to be lost for a couple hours, see what may be naturally happening in the countryside.  Our adventures took us to cricket games, a national lawn bowling tournament in Fiji, and lots and lots of beautiful seaside scenery.  Then we would find our way back to the ship and ice cream bar.  One of the many indulgences we enjoyed.

We were up early one morning, barely slept the night before.  On deck there were so many people, cameras, smiles, and excited talk, we were coming into Sydney harbor. The headlands, the Opera House and the bridge have come into view.   Loads of promises to meet for dinner when we arrive in their hometown Australia, hugs of welcome home and safe travels.   We arrived!

We will be thinking about this part of our travels for a long time, it may become a cornerstone of our start and stop itineraries.  Gosh, a new way to open up the world, the sweetness of it all.

Wolf’s Breakfast – Being Hyderized

Hyderized!! We were Hyderized during our drive from Alaska. Hyder, AK is across the Canadian / US Border opposite Stewart, BC. To get there, you depart the ALCAN Highway just west of Watson Lake, Yukon and head south on the Cassiar Highway and towards Stewart, BC. Upon heading south, say good bye to the Yukon, as you cross into British Columbia. The first 60 miles of the Cassair is slow going as the road has many frost heaves and reminded us of a roller coaster ride in Coney Island. It takes nearly 4 hours to arrive in Stewart from Watson Lake and there is no US Border Crossing as you enter Hyder, Alaska from Stewart, BC. As you return into BC, however, you must clear Canadian Customs at Stewart.

We went to Hyder to see Bears along Fish Creek. Soon after arriving at Fish Creek at 6:30am, a wolf walked slowly down the river to feast on some salmon.  Look closely at the photo, the wolf had two salmon in its mouth!

South from Alaska

11,500 miles on tow vehicle; 7,000 miles on the RV; 850 gallons of diesel; only 20 pounds of silver salmon left in freezer; all priceless. We returned to the lower 48, just north of Seattle, on September 9th and arrived Mount Shasta, California on September 19th, and should arrive Bakersfield, CA on September 24th. Our planned stopovers from Mount Shasta are: Redding; Vacaville; Napa; and San Francisco.

It has been an amazing trip. The maps on this post show all our stops during this amazing 4 month journey.

The High One – Denali (Mount McKinley)

We climbed Mount McKinley – David style:  in a plane, of course.  We even climbed a few hundred feet above the summit.  That was how we spent David’s birthday!

The flight seeing tour was the only company that took you up and over the summit so you could see the mountain up close and personal.  It was a bonus, on that day, to have such beautiful weather.

One of the last wilderness areas untouched by modern man: over six million acres of open alpine tundra, wildlife, mile high granite gorges, ancient blue glaciers and endless icy peaks …

Mount McKinley or Denali is the highest mountain peak in North America, with a summit elevation of 20,320 feet above sea level. At some 18,000 feet the base to peak rise is considered the largest of any mountain situated entirely above sea level. Located in the Alaska Range in the interior of US state of Alaska, it is the centerpiece of Denali National Park and Preserve.

 

It’s all about the bears!

We were lucky enough to see a large brown bear catching salmon in the middle of the stream, and a black bear mother catching dinner for her two cubs (with the cubs watching from the nearby tree).  How cool was that!

The Russian Rivers Campground is located between the Russian River and the Kenai River.  That means double the salmon spawning rivers available for those hungry bears, and double bear territory (brown and black bears are seen on this river)!

We learned from some locals the best bet for viewing bears in the Russian River drainage is the fishing access trails off the “Grayling” parking area during the summer spawning runs of sockeye salmon. The trail follows along the river and tens of thousands of sockeye navigate the river each summer from mid-June through late August to spawn in the Russian Lakes. Bears frequent the stream banks to dip an easy meal from this relatively shallow river while many fisherman try to catch fish.

 

 

Alaska Wildlife Conservation Center

A great place to view Alaskan Wildlife!  Stand just a few feet from brown bears and more….  This is not a zoo, you may walk, take a ride on their shuttle or drive your own vehicle to see up close these amazing cared for orphaned animals in natural settings.

The Alaska Wildlife Conservation Center is a must see as you drive from Anchorage to Whittier or the Kenai Peninsula.

The AWCC is a nonprofit organization dedicated to preserving Alaska’s wildlife through conservation, public education, and quality animal care. AWCC takes in injured and orphaned animals year-round and provides spacious enclosures and quality animal care.  Animals that cannot be released into the wild are given a permanent home at the center.

Floating down the Kenai River

The Kenai River is one of the most important watersheds in Alaska, providing world- class salmon fishing and wilderness recreation. The Kenai River is a melt water river that drains the central Kenai Peninsula region Its source is the Kenai Lake, which narrows to form the river and flows 82 miles to Cook Inlet. The river passes through Kenai Canyon for about 2 miles of fast-flowing whitewater rapids, but for the majority it is a non-motorized 12-mile float through some beautiful countryside is Alaska.

The world famous Russian River Ferry is located at the confluence of the Russian and Kenai Rivers on Alaska’s beautiful Kenai Peninsula.  The ferry services one of the most productive salmon sport fishing areas in all of North America.  As we passed through this area of “combat fisherman” who stand one fishing pole distance apart from each other in the relentless search (and destroy) for salmon.  Wow, we were glad that was not our fishing experience.

The float was a wonderful chill opportunity taking in an iconic Alaska experience.

 

Kayaking Bear Lake

Chase remembered the fun he had kayaking with his Grandparents and wanted to kayak again.  Bear Lake just outside of Seward afforded this opportunity.  Our kayaks made by Hobie are propelled by pedal or paddle.  Chase wanted to paddle while grandpa used his legs and pedaled his way around the lake. When the wind picked up and the waves on the lake became white caps, Chase wanted more, while Grandpa David was thinking it is time to get off the lake.

 

 

Alaska SeaLife Center – Seward, AK

Seward has the only public aquarium and ocean wildlife Center.  It is a rescue center that rescues, treats, and releases stranded animals located on the shores of Resurrection Bay in Seward.  There are many great exhibits and one of the best aquariums that we have visited.

We took many photos, in fact, the harbor seal that we photographed was just released by the center to the sea.  We are hoping that he finds internet so that he may view his photo we had taken.  Yes, we did give him our travel card with the web address of our blog.

The Sea Life Center advertises on the radio and TV telling folks if they come across any distressed marine mammal they should immediately call the center.

Exit Glacier – Seward, AK

Chase asked, “Do I get to hike right next to a real glacier?  We learned about them in school. “  I remember how the book learning fell to real life when I began the travel odyssey.  Learning is exciting.  And we trekked up the hill, and found exit glacier very cold, (who would guess that) and huge, and shrinking.   We grandparents played a wonderful documentary called Chasing Ice, to bring home the fleeting nature of the century old, living monuments.

Simply put this Glacier is a drip from Harding Icefield which extends on top of the mountains between Seward (Kenai Fjord National Park) and Homer.  The Harding Icefield is thousands of feet thick, but it does not completely bury the underlying mountains. Over 30 glaciers of different size and type flow outward from the Harding Icefield. Some of these glaciers are tidewater (Aialik Glacier) or terminate in lakes (Skilak Glacier), and some end on land (Exit Glacier).

Alaska glaciers account for less than one percent of the Earth’s area currently covered by ice, but a recent study suggests this ice is melting quickly.  Y’all come sooner than later.

 

 

Iditarod – Turning Heads Kennel

The Iditarod was another example of school learning becoming real.  Chase had completed a term paper on the Iditarod and he had a chance to meet the youngest musher in 2013: Travis Beals is only 21 years old.  His kennel, Turning Heads Kennel is smaller and more intimate than the more established teams.  Travis was positively enthusiastic when he shared his passion with us.  It was the perfect place to interact with all the generations of dog:  retired, current racers and 4-day-old puppies.  Travis explained about the sled and the equipment before we were treated to a training ride (on a wheeled cart) through the woods.

On March 1, 2014, the opening date of the 2014 race, we will be writing Chase and together we will be cheering for Travis.

Kenai Fjords National Park – Seward, AK

We saw incredible numbers of humpbacks, otters, orcas, sea lions, puffins, and kittiwakes, etc.  The whales were amazing, breeching and flipping their tails, or just raising their flippers to say hi. At one point the humpback whales (there were between 6 and 10 of them) were collaboratively using bubbles to trap fish and then feasting together. Words fail me for how amazing it was to witness this over and over.  Over the course of the day, we saw about 24 separate whales.

The Aialik glacier viewing was also spectacular. We spent at least 20 minutes watching and listening to the glacier creak and crash into the water.  A huge section fell into the ocean, and though I feel terrible to see this ice that will never exist again, it is so impressive that it stays in my mind still.  The photos of the calving are a series taken of of a very large calving.  Sorry for not adding sound, think of loud and rumbling thunder.

Chase (our oldest grandson) is learning about photography on this trip.  I was glad that this scenery and this photographic place was an inspiration and made an epic impression in his minds eye.

The Hike to Russian River Falls (In search of bears)

There is an axiom here in Alaska, you see it on public service signs everywhere:  Wherever there is salmon there are bears.  It is meant as a warning; of course, we took it as an invitation.  The Russian River Falls is a spawning stream for salmon, and a few weeks earlier after a delightful 2.5 mile hike, we enjoyed wooden observation decks overlooking the fish laden waters, and a couple of bears salmon fishing.  It was perfect.

We talked up the hike, the salmon, and the potential bears to our Grandson Chase.   We also went through all the bear wise instructions.   It is completely safe, and as a precaution, we carry bear spray.  Much to our surprise (it is always a surprise when sketchy things happen) we were 5 minutes into the hike, and a bear popped out right next to us, literally 5 feet away.   The bear stood, looked directly at us, came down on all 4 legs, and then scampered across the road.    Oh, and the bear spray was left in the truck.

Regrouped, bear spray in our pocket, we took the hike.  The day was just as lovely, and we saw lots of salmon leaping into the falls, and a brown bear.

Later that night, we were back on the lower part of the river, having been told they come out late in the evening.  Surely, the nighttime would provide for more opportunities.  The fisher people all said there had been some earlier and they come out nearly every night; but we were skunked.  Only mosquitos.

Salmon Fishing

Another iconic Alaskan experience is fishing.  So many fishing opportunities are available:  trout, grayling, 5 types of salmon, halibut, in the river, the bay, the gulf and the ocean.  We chose Seward regulations allow 3 silver salmon from the gulf and 3 more from Resurrection Bay.  The ride to the fishing ground was 1.5 hours; all full bore, plowing through swells and other wakes.  Chase thought it was great; Karen wanted a chiropractor.

Captain Dave knew we arrived when he found a large number of puffin since they follow the fish.  He was right.  After we dropped the lines, it took minutes even seconds for a FISH ON call.  Our group of 6 people caught the maximum of 18 silver salmon within 25 minutes.  From there we moved into the bay, and Grandpa David caught another 2 more, the other 5 came back with their original three.  For the three people from our family the net weight was 36 pounds of filets.

Enough to completely fill a freezer in our RV and lots of good eating for a long time coming.

Chasing Chase through Alaska: July 22 – August 1, 2013

David and I realize, first hand, that travel broadens the mind and provides the traveler a world wide classroom.  Travel changes a person, introduces them to new ideas, and brings those things from books into real life.  What a wonderful opportunity for our grandchildren and for us.  We committed to take the grandkids with us for periods of time to share the world and to make memories here (where here is at the moment).  Chase is our oldest grandson (13 in October), he shared our exploits for 10 days this summer.

Last year Chase joined us in Canada.  He learned how to convert from fahrenheit to celsius, miles to kilometers, and handle money that comes in colors much less loonies and toonies!  After, we make a memory book called Chasing Chase through  British Columbia.

This year we chased Chase through Alaska.  We experienced the wonders of the midnight sun, the search for bears, the shock of finding bears,  the majesty and fragility of glaciers, the joy of kayaking, the amazement of breaching whales and the excitement of your first real fishing trip (with 3 salmon to show for it).  We made lots of memories this year.  Great posts and photos are coming soon  – Chasing Chase in the Kenai and David N Karen adventures in Alaska.

And we have 5 other grandchildren to chase!

Darn Black Bear – Close Encounter

It was a few minutes into our first hike with our grandson Chase, when a black bear popped up 5 feet directly next to us. Only one photo since we were consumed with getting down the trail quickly. But I swear, I heard giggles from the other side of the trail when the juvenile black bears were saying (about us) did you see their faces! It’s my turn to scare the next group, tee hee.

Kayaking the Moose River / Swan Lakes Canoe Trail

The Kenai boasts one of two canoe trails in the United States.  The Swan Lakes Canoe trail takes you through a series of lakes (and portages), which eventually empty into the Moose River and a direct, if not long path back to civilization.  The one-way trip is reported to be 60 miles.  You can stay on the trail from 3 days to a week or more.

The Moose River crosses the Kenai Wildlife Refuge and into the wilderness.  No cell phone signal, no one that knows to come and get you unless you left a contact.  We did see a couple planes fly over and dipped their wings when we waved hello.  Guess they were just checking.

We were looking for a day trip, and decided the most efficient way to accomplish that was to kayak 6 miles up the river, and kayak/float the 6 miles back to the truck.  It was magical.  After the first mile or two we were past all houses, then cabins, then picnic shelters finding our way through a very curvy and slow moving river.  Talk about not knowing what was around the bend . . .    I kept expecting to see canoeists coming from the lakes and into the final stretch, or certainly a moose would meander our way, I would have even welcomed a bear if I could get out of the way fast enough.  But no, just lots of birds and two little humans in the midst of all that land and water having one of the best kayak days ever.

Kenai Peninsula: July 12 – August 18, 2013

When David and Karen visited Alaska 3 years ago, the Kenai stood out as the place we wanted to come back to and spend a significant amount of time.  It does not surprise us that we set aside 5 weeks to hike, kayak, bear watch and just hang out in Alaska’s outdoor playground.

There is no prediction on what we will do on any given date; that is driven by weather; things like wind or rain.  The extremely cool mornings (wake up to 50-55 degrees) do not move toward 60+ degrees until almost noon.   The early days are spent scouting out kayak put in points, and talking to camp hosts etc. on the back roads and their favorite bear sitting spots.

When I told one person I was not fishing because I really did not know how, they instructed me to just show up at a river, and I would get so much advice and help and the other fisherman would be happy for the distraction.

The warm and friendly nature of the people we met has really struck me each and every day.  The folks never seem to mind reporting their favorite spots, the directions on how to get there and the timing of this salmon run, (there are many salmon runs:  pink, king, red) or the particulars of how to gut a fish.  All with a good natured, easy going cadence that we are all in the rarified air of Alaska.   Perhaps it is the community mantra that you don’t leave your neighbor stranded.

Along the way we will be camping in Sterling, Cooper Landing, Seward, Portage, Kelly Lake, Homer, Ninilchik and Kenai before we head back to Anchorage on August 18th.

Glaciers on the Go

As a person drives from Valdez to Anchorage they have the privilege of passing two wonderful valley glaciers.  A valley glacier is a body of solid ice that flows like a river under its own weight through an existing valley. Worthington Glacier – Just outside Valdez near Thompson Pass, the Worthington Glacier is one of the most accessible glaciers in Alaska, passing within a few feet of the parking lot right off the Richardson Highway. Like most of Alaska’s glaciers, this valley glacier has been steadily retreating for the last 150 years, but not as dramatically as many others.

Matanuska Glacier –  The Matanuska Glacier is the largest glacier in Alaska that can be reached by vehicle. Located on the Glenn Highway, the Matanuska is approximately 26 miles long and 4 miles wide at its terminus. It is classified as a valley glacier.  About 10,000 years ago it began its retreat to its present day location, and it has not seen any significant change in mass for almost two decades.